Woodlands Country Estate
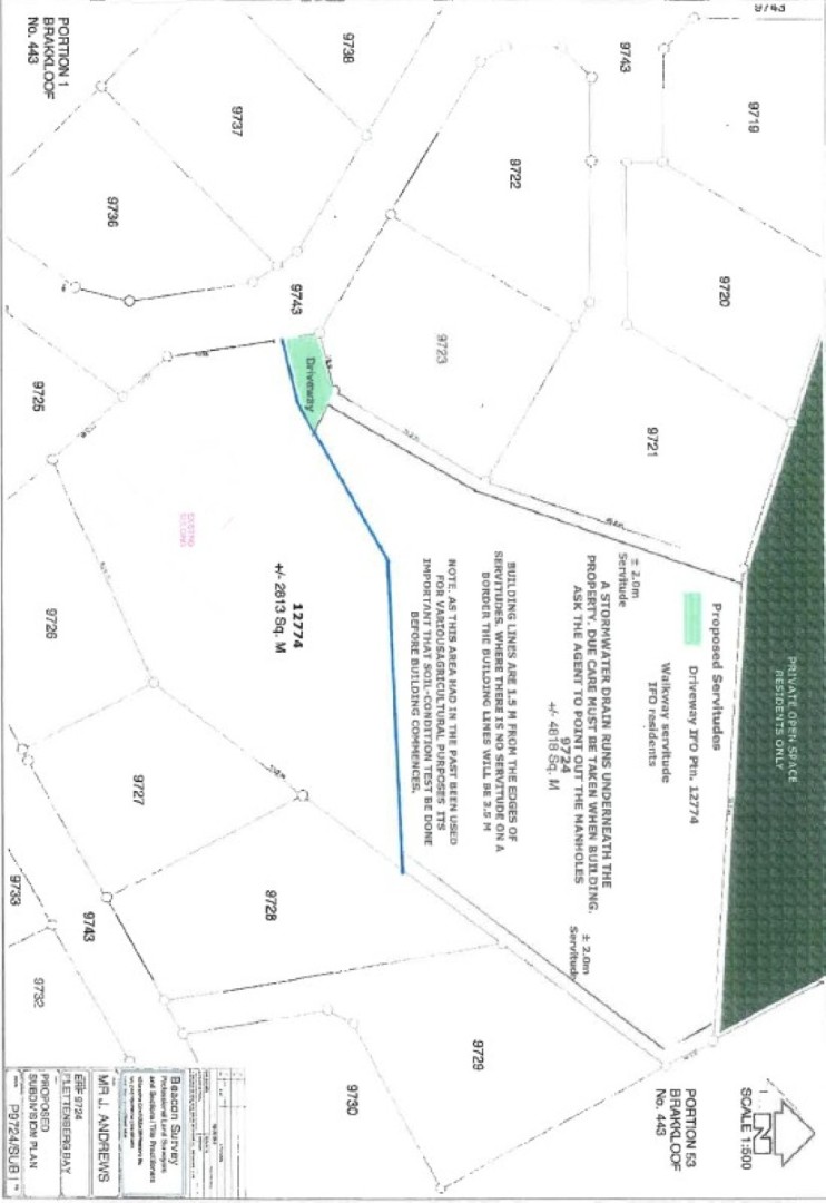
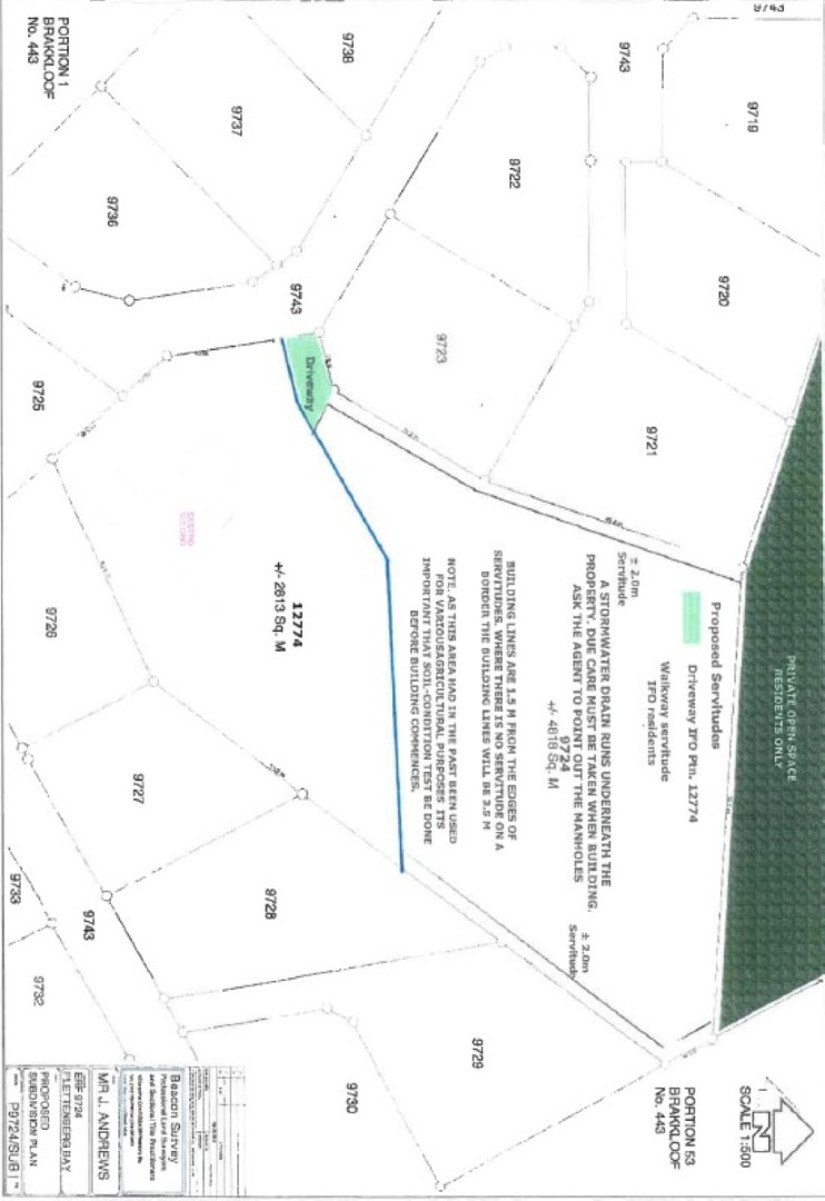
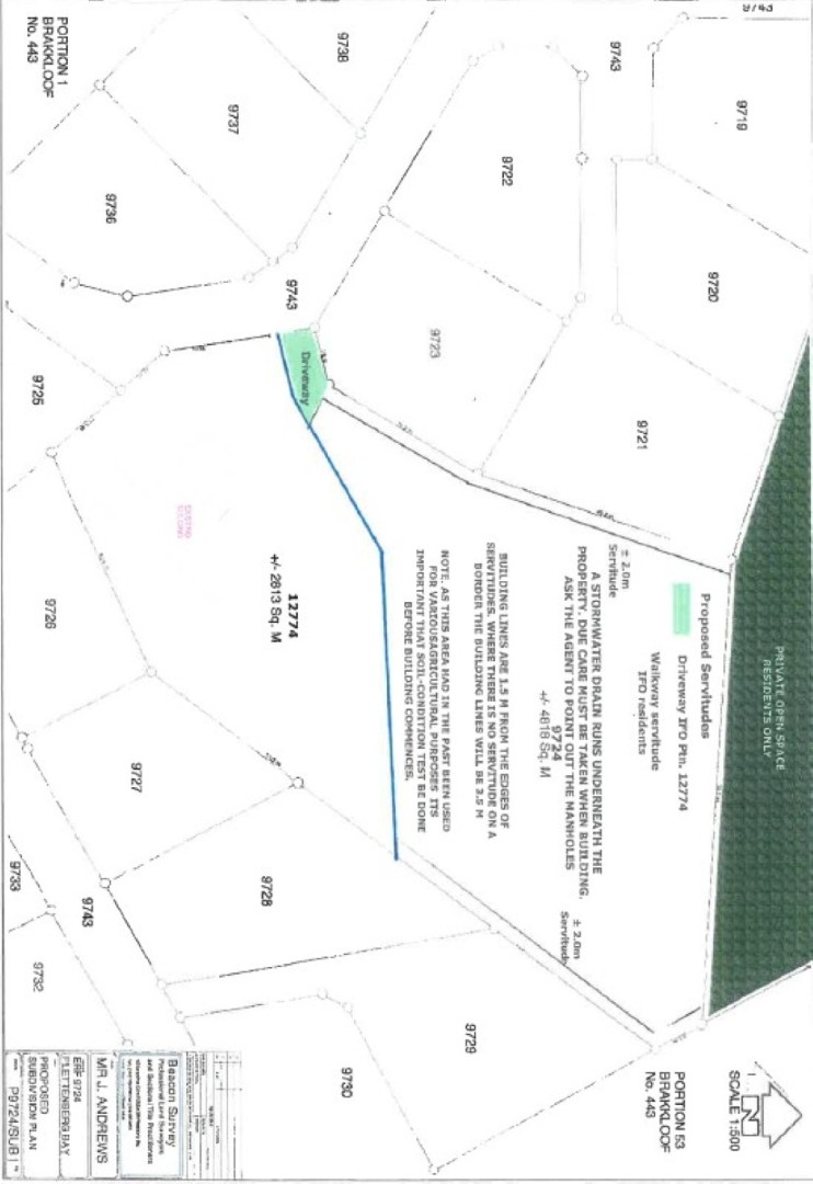
TRI MANDATEThis is a special and rare opportunity to acquire a particularly large stand in Woodlands Country Estate, right on the border of town, minutes away from beaches, nature reserves and shops.The stand is 4818 square meters in size and offers north-facing mountain views. Woodlands Estate is small and intimate, with only 24 home-owners in total. There is a large private green belt area that offers owners in the estate beautiful walking trails.HOA rules and design guidelines apply.
Elbie studied law at Stellenbosch University and practised as an Environmental Lawyer for many years. She has been living in Plett since 1981. With family who enjoyed holidays here since the 1930’s, and having lived here herself since 1981, Elbie is a passionate outdoors person, who has excellent knowledge of the coastal area from Knysna to Natures Valley and has walked this entire coastline many times.
Elbie specialises in the exceptional – both rural agricultural and residential. She has a keen eye for unique properties, having sold some of the most iconic rural properties in the area. Her in-depth knowledge has made her one of the most dominant agents in Plettenberg Bay.
If you are looking for a beautiful piece of land, be it an agricultural holding, a country lifestyle property, a conservation property, or a residential property (especially beachfront options), then Elbie is the agent to contact.
Elbie, a multi-award-winning agent, is happy to be part of a team with a wealth of expertise, knowledge and experience in the real estate market of Plettenberg Bay.